tel: 403-352-5019

Agent Photo

»Sylvan Lake, Red Deer, Blackfalds, Lacombe & Area

 
Data Last Updated December 11, 2025, 3:25 pm

 
Courtesy of eXp Realty
NONE
No Floor Plan Available
$1,350,000
MLS® #:  A2258600
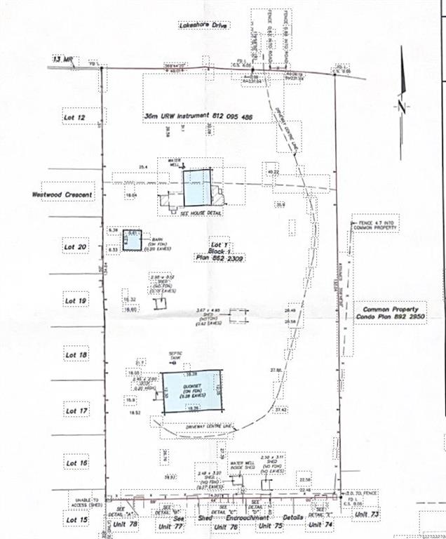
Address:  5801 Lakeshore Drive
Days On Website:  ACCESS Days on Website

Neighbourhood Tour
Email to a Friend
Mortgage Calculator
Printable Version
Google Maps
Schedule a Showing
Contact Stephan
For viewing call 403-352-5019

Descriptions:

Prime multi-family development opportunity on Lakeshore Drive in Sylvan Lake! This 2.46-acre parcel is one of the last large development sites along the lakefront corridor and is ideally suited for future higher-density residential under the Town’s Urban Neighbourhood policy. The property is currently zoned Future Designation, requiring an Outline Plan and rezoning, but its location and size make it a standout candidate for townhomes, stacked townhouses, or low-rise multi-family. Surrounded by established neighbourhoods and within walking distance to the lake, schools, and amenities, this site offers unmatched potential for a signature residential project. Existing improvements include an older bungalow, barn, and quonset, with value placed on the land for redevelopment. A rare chance to secure premium infill land in one of Central Alberta’s fastest-growing communities.

Status: Active
Includes: N/A
Location & Listing Info:
Zoning: FD
Neighbourhood: NONE
Nearest Town: Sylvan Lake
Lot Size: 107,157.00 sq.ft.
Property Info:
Property Type: Commercial Land
Brokerage: eXp Realty
Exterior:
Financial & Possession:
Rooms:
Additional Info:
JOIN NOW to access ALL LISTINGS.
Access includes addresses, days on website and full comments.
> Property History > Days On Website > Previous Price
Schedule A Showing
Free Evaluation
Contact Stephan
Property History
For viewing call 403-352-5019
Contact Stephan Trudel -
4505 50 Ave unit 103, Sylvan Lake, Alberta, T4S 1W2
Required Field
The data included in this display is deemed to be reliable, but is not guaranteed to be accurate by the Central Alberta REALTORS® Association.
The data included on this website is deemed to be reliable, but is not guaranteed to be accurate by the Central Alberta REALTORS® Association.

MLS®, Multiple Listing Service®, and the associated logos are all registered certification marks owned by CREA and are used to identify real estate services provided by brokers and salespersons who are members of CREA. The trademarks REALTOR®, REALTORS® and the REALTOR® logo are controlled by The Canadian Real Estate Association (CREA) and identify real estate professionals who are members of CREA. Used under license.