tel: 403-352-5019

Agent Photo

»Sylvan Lake, Red Deer, Blackfalds, Lacombe & Area

 
Data Last Updated February 6, 2026, 4:25 pm

 
Courtesy of RE/MAX Real Estate (Edmonton) Ltd.
West Park
No Floor Plan Available
$148,200
MLS® #:  A2017245
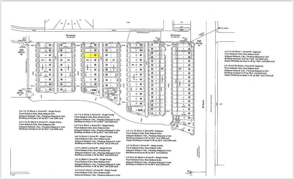
Address:  4720 68 Street
Days On Website:  ACCESS Days on Website

Neighbourhood Tour
Email to a Friend
Mortgage Calculator
Printable Version
Google Maps
Schedule a Showing
Contact Stephan
For viewing call 403-352-5019

Descriptions:

Welcome to West Park's newest development....Lakeside!!! This development is situated close to shopping and dining. You can access the walking path along the lake and build your own home! Don't miss out on an amazing opportunity in 2026.

Status: Active
Includes: N/A
Location & Listing Info:
Zoning: R1
Neighbourhood: West Park
Nearest Town: Camrose
Lot Size: 4,250.00 sq.ft.
Property Info:
Property Type: Residential Land
Brokerage: RE/MAX Real Estate (Edmonton) Ltd.
Exterior:
Financial & Possession:
Rooms:
Additional Info:
JOIN NOW to access ALL LISTINGS.
Access includes addresses, days on website and full comments.
> Property History > Days On Website > Previous Price
Schedule A Showing
Free Evaluation
Contact Stephan
Property History
For viewing call 403-352-5019
Contact Stephan Trudel -
4505 50 Ave unit 103, Sylvan Lake, Alberta, T4S 1W2
Required Field
The data included in this display is deemed to be reliable, but is not guaranteed to be accurate by the Central Alberta REALTORS® Association.
The data included on this website is deemed to be reliable, but is not guaranteed to be accurate by the Central Alberta REALTORS® Association.

MLS®, Multiple Listing Service®, and the associated logos are all registered certification marks owned by CREA and are used to identify real estate services provided by brokers and salespersons who are members of CREA. The trademarks REALTOR®, REALTORS® and the REALTOR® logo are controlled by The Canadian Real Estate Association (CREA) and identify real estate professionals who are members of CREA. Used under license.